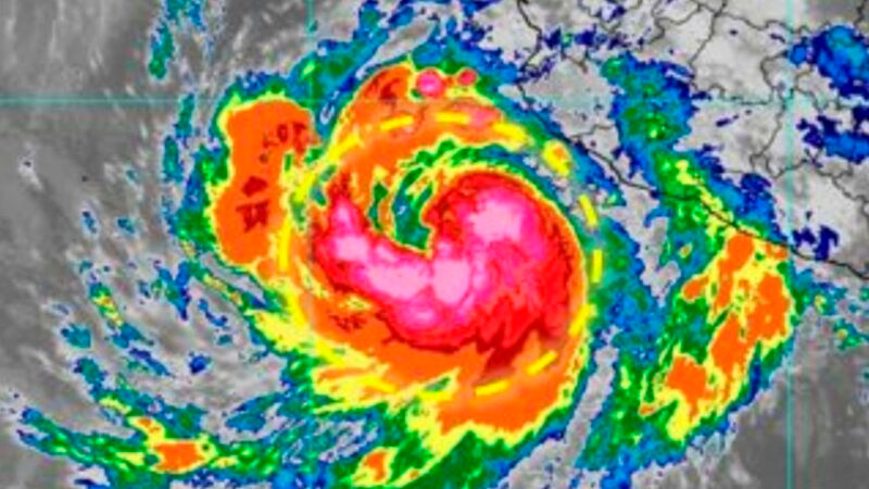
Ciudad de México, a 6 de octubre 2025.- El Servicio Meteorológico Nacional (SMN) indicó que el huracán ‘Priscilla’ ubicado en el suroeste de Jalisco y al sur de la península de Baja California, provocará lluvias puntuales intensas en esa región.
A través de un comunicado, el organismo dependiente de la Comisión Nacional del Agua (Conagua) señaló que lo desprendimientos nubosos del ciclón ocasionarán lluvias puntuales intensas en Jalisco (sur), Colima, Michoacán (este y costa) y Guerrero (suroeste y costa); puntuales muy fuertes en Nayarit y Sinaloa (sur); así como lluvias puntuales fuertes en el sur de Baja California Sur.
Por otra parte, la onda tropical 36 sobre el sureste del territorio nacional provocará lluvias puntuales intensas en Quintana Roo, Campeche, Tabasco, Chiapas, Veracruz y Oaxaca; y puntuales muy fuertes en Yucatán y Puebla.
Pronóstico de lluvias para el 6 de octubre:
- Muy fuertes con puntuales intensas (75 a 150 mm): Jalisco (sur), Colima, Michoacán (este y costa), Guerrero (suroeste y costa), Oaxaca (oeste, noreste y costa), Chiapas (norte y sur), Veracruz (sur), Tabasco, Campeche (suroeste) y Quintana Roo (este y sureste).
- Fuertes con puntuales muy fuertes (50 a 75 mm): Sinaloa (sur), Nayarit, Puebla y Yucatán
- Chubascos con lluvias puntuales fuertes (25 a 50 mm): Baja California Sur, Durango, Zacatecas, Aguascalientes, Guanajuato, Querétaro, Hidalgo, Tlaxcala, Morelos, Estado de México y Ciudad de México.
- Intervalos de chubascos (5 a 25 mm): San Luis Potosí y Tamaulipas.
- Aisladas (0.1 a 5 mm): Chihuahua, Coahuila y Nuevo León.
Pronóstico de temperaturas máximas para hoy:
- De 35 a 40 °C: Baja California Sur, Sonora, Sinaloa, Chihuahua, Nuevo León, Nayarit, Jalisco, Colima (sureste), Michoacán (suroeste), Oaxaca, Tamaulipas y Campeche.
- De 30 a 35 °C: Baja California, Coahuila, Durango, San Luis Potosí (este), Guerrero, Chiapas, Querétaro (norte), Hidalgo (norte), Puebla (norte y suroeste), Morelos (sur), Veracruz, Tabasco, Yucatán y Quintana Roo.









